SWIPE FOR MORE IMAGES
$471,000 USD
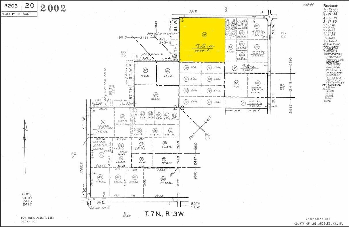
W Cor Ave J And 85th St West APN 3203-020-019
Lancaster, California 93536
USA
Lancaster, California 93536
USA
Land for sale, Other Land
Sale price per sqm: 0
Remarks:
39.25 acre agricultural lot or possible solar farm. Zoned A22 for agriculture, animals, and a home. 1319 feet of paved frontage on Ave J with power in the street. APN 3203-020-019.
Location:
W Cor Ave J And 85th St West APN 3203-020-019, Lancaster, California 93536, USA
Listed By CENTURY 21 Doug Anderson
The Land for sale, Other Land located at W Cor Ave J And 85th St West APN 3203-020-019, Lancaster, California 93536, USA is currently for sale. W Cor Ave J And 85th St West APN 3203-020-019, Lancaster, California 93536, USA is listed for $471,000 USD. If the property located at W Cor Ave J And 85th St West APN 3203-020-019, Lancaster, California 93536, USA isn't what you're looking for, search California Real Estate to see other Land For Sale in Lancaster.
