SWIPE FOR MORE IMAGES
$189,500 USD
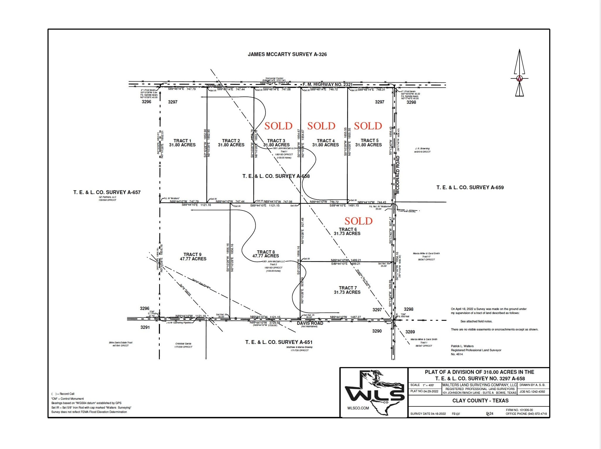
TBD Mcdonald Rd-tract 7
Bellevue, Texas 76228
USA
Bellevue, Texas 76228
USA
12.841 ha ::
31.73 acres
Land for sale, Other Land
Sale price per sqm: 1.48
Tax: 30 USD
Remarks:
31 acre & 47 acre tracts available! Barndominiums allowed. Discover the perfect setting to build your dream house. Enjoy the quiet country setting with plenty of space for outdoor activities. The land features a variety of ponds, open pasture and wooded areas. Situated a mere 25 minutes from Bowie and Henrietta, this location offers the perfect retreat from the city life while keeping conveniences accessible. No mobile homes or manufactured homes. Bring your own builder.
Features:
- Year Built: 0
- Elementary School: Bellevue
Location:
TBD Mcdonald Rd-tract 7, Bellevue, Texas 76228, USA
Listed By CENTURY 21 Mike Bowman, Inc.
The Land for sale, Other Land located at TBD Mcdonald Rd-tract 7, Bellevue, Texas 76228, USA is currently for sale. TBD Mcdonald Rd-tract 7, Bellevue, Texas 76228, USA is listed for $189,500 USD. If the property located at TBD Mcdonald Rd-tract 7, Bellevue, Texas 76228, USA isn't what you're looking for, search Texas Real Estate to see other Land For Sale in Bellevue.
