SWIPE FOR MORE IMAGES
$35,000 USD
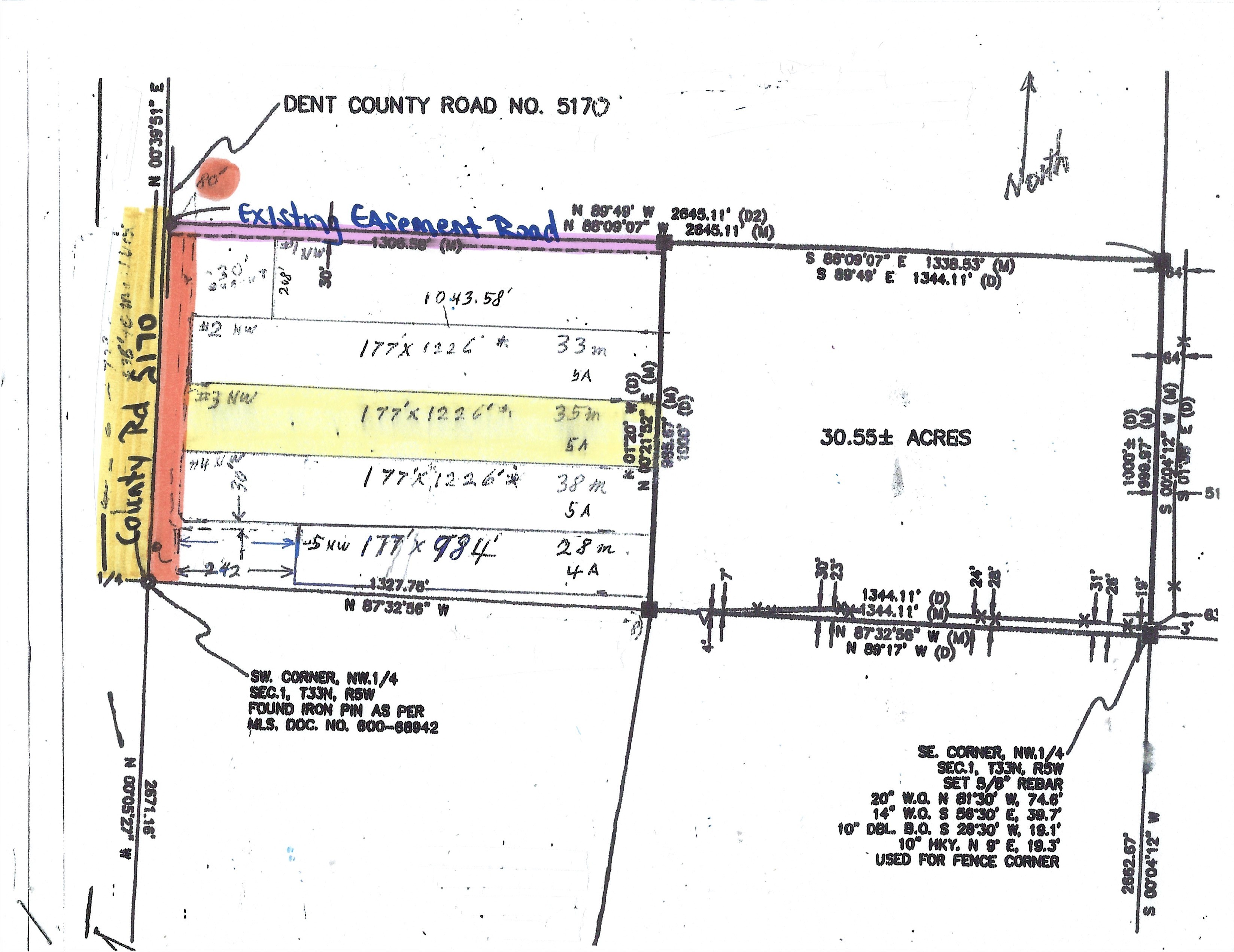
TBD County Road 5170
Salem, Missouri 65560
USA
Salem, Missouri 65560
USA
2.023 ha ::
5.00 acres
Land for sale, Agricultural (Not Zoned)
Sale price per sqm: 1.73
Remarks:
5 +/- acres of wooded, vacant land. Build your home or have a mobilehome set up as there are no mobilehome restrictions. Plenty of room for a shed/garage and room for the kids and pets to play. Property will be accessed from the existing easement in pink on the picture. Seller is keeping an 80' strip along the county road to allow for privacy, driveway easement to this lot and electric easement. Seller will pay for survey upon an accepted offer and will provide an electric easement. Buyer will be responsible for establishing a driveway and clearing the electric easement. All flags currently set are APPROXIMATE ONLY. Survey will determine the exact property corners. Additional acreage can be purchased.
Features:
- Lot size: 2-4.99 Acres
Location:
TBD County Road 5170, Salem, Missouri 65560, USA
Listed By CENTURY 21 South Central Realty
The Land for sale, Agricultural (Not Zoned) located at TBD County Road 5170, Salem, Missouri 65560, USA is currently for sale. TBD County Road 5170, Salem, Missouri 65560, USA is listed for $35,000 USD. If the property located at TBD County Road 5170, Salem, Missouri 65560, USA isn't what you're looking for, search Missouri Real Estate to see other Land For Sale in Salem.
