NEWLY LISTED
SWIPE FOR MORE IMAGES
$395,000 USD
St Highway 20
Freeport, Florida 32439
USA
Freeport, Florida 32439
USA
Commercial for Sale, Other Commercial Property
Sale price per sqm: 0
Remarks:
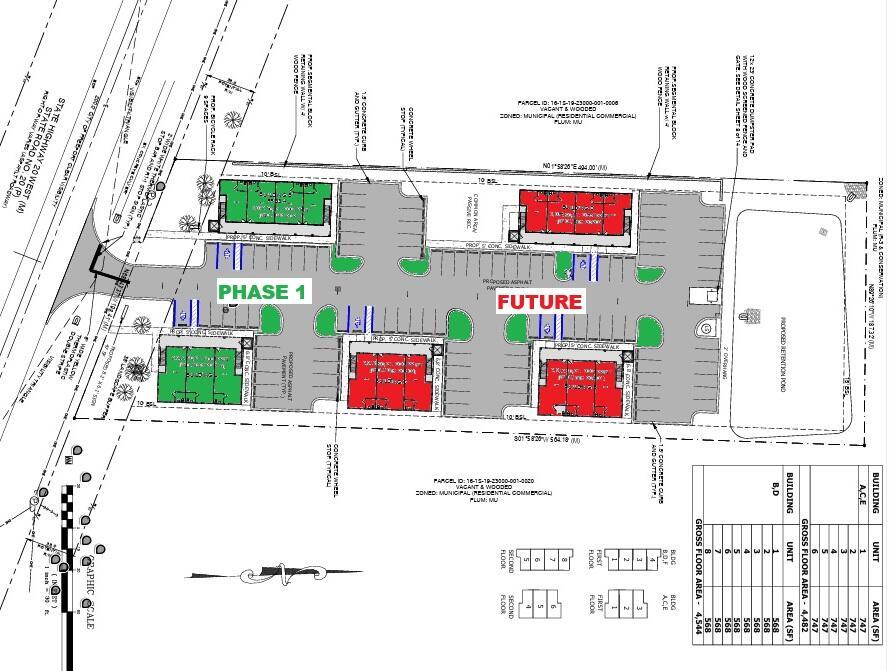
Corporate Woods offers Class-A medical and professional office suites for lease or sale along Hwy 20 in Freeport, serving the North Bay, South Walton, and 30A markets. The five-building campus features elevator-served two-story buildings with 747 SF and 568 SF suites. Opportunities available for lease or purchase by the unit, full floor, or entire building, allowing maximum flexibility for users and investors. Delivered as grey shell, ideal for medical, dental, therapy, legal, financial, and professional uses. The site plan provides 102 parking spaces, creating a functional medical-capable campus with strong visibility and access. Phase 1 delivering first two buildings in late 2026 or early 2027, with three more at a future date. Corporate Woods represents a first-of-its-kind office product for the Freeport and greater South Walton corridor--a purpose-built, small-bay medical and professional condominium campus designed to meet a growing but underserved segment of the market.While South Walton and 30A have historically commanded premium pricing for limited office inventory, the market has lacked scalable, ownership-oriented space for medical and professional users seeking proximity without coastal pricing constraints. Corporate Woods fills this gap by delivering a Class-A environment with flexible configurations, allowing users to acquire space by unit, floor, or entire building.This "missing middle" product--bridging large, institutional office space and smaller, less functional units--positions Corporate Woods as a foundational development in the corridor's evolution. As Freeport continues to absorb growth from South Walton, the project is poised to establish pricing benchmarks and serve as a model for future professional development.With limited competing supply and increasing demand from medical, dental, and service-oriented users, Corporate Woods offers early participants the opportunity to enter a developing submarket at a formative stage, capturing both operational utility and long-term value appreciation.
Location:
St Highway 20, Freeport, Florida 32439, USA
Listed By CENTURY 21 AllPoints Realty
The Commercial for Sale, Other Commercial Property located at St Highway 20, Freeport, Florida 32439, USA is currently for sale. St Highway 20, Freeport, Florida 32439, USA is listed for $395,000 USD. If the property located at St Highway 20, Freeport, Florida 32439, USA isn't what you're looking for, search Florida Real Estate to see other Commercial For Sale in Freeport.
