Commercial For Sale: Mexico Quintana Roo Solidaridad / Riviera Maya Listing #581446
SWIPE FOR MORE IMAGES

$6,500,000 MXN

Solidaridad / Riviera Maya, Playacar Fase II, Quintana Roo 77710
Mexico
1,442.7 sqft :: 134.03 m2
1 bath
Commercial for Sale, Mixed Use
Land size: 1,768 sqft :: 164 m2
Sale price per sqm: 2,732.51
CENTURY 21 Caribbean Paradise
Avenida 10 Norte, entre Calles 38 y 40 Mz. 149, Lote 509 Plaza San Carlos, Local 7., Playa Del Carmen Centro, Playa Del Carmen, Quintana Roo
Mexico
Phone: +52984.879.4858 / 984.803.1978

Yes, I would like more information from C21. Please use and/or share my information with a C21 Agent to contact me about my real estate needs.

By clicking Contact Office, I agree a C21 Agent may contact me by phone or text message including by automated means about real estate services, and that I can access real estate services without providing my phone number. I acknowledge that I have read and agree to the Terms of Use and Privacy Policy.

Remarks: [Translate *]

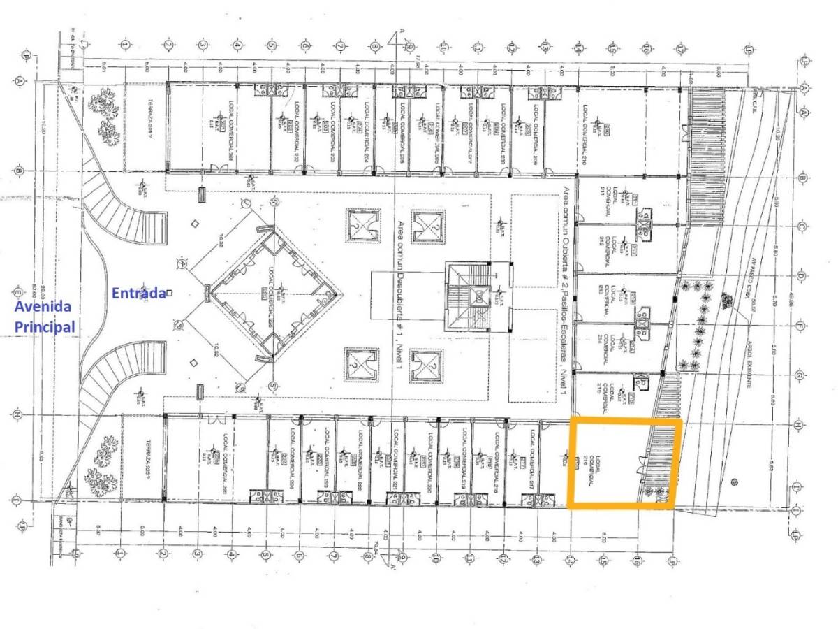
Amplio Local Comercial en Venta en Zona Turística y Comercial Estratégica Playa del Carmen

Excelente oportunidad de inversión en Plaza Paseo Coba, una de las plazas comerciales mejor ubicadas de Playa del Carmen, justo a un costado de Playacar, muy cerca de la Avenida 10, la zona turística y la terminal de ferry. Su ubicación estratégica garantiza alto flujo peatonal de turistas y residentes.

La plaza alberga negocios consolidados y reconocidos tanto por locales como visitantes, incluyendo la Asociación de Hoteles de la Riviera Maya, lo que la convierte en un punto de referencia en la zona.

El local se encuentra ubicado en la planta baja en esquina con las siguientes medidas:

Superficie Total: 164.25 m²

Área Construida: 134 m²

Terraza: 30 m²

Además también cuenta con doble altura y terraza privada que ofrece vista al interior de Playacar Fase 2, rodeada de vegetación y ambiente tranquilo, ideal para diferentes tipos de negocios.

Alta visibilidad gracias al flujo turístico y local constante, versatilidad de uso con terraza privada y ubicación en esquina, potencial de apreciación en uno de los destinos con más ritmo de crecimiento en México.

Libre de gravamen

MRH
P4408 (ref:581446)

Features:

  • Number of Levels: SN
  • Utilities: Water, Sewer, Electric

Location:

Solidaridad / Riviera Maya, Playacar Fase II, Quintana Roo 77710, Mexico
Listed By CENTURY 21 Caribbean Paradise

The Commercial for Sale, Mixed Use located in Solidaridad / Riviera Maya, Playacar Fase II, Quintana Roo 77710, Mexico is currently for sale. This property is listed for $6,500,000 MXN. This property has 1 bathroom and 134.03 m2. If this property isn't what you're looking for, search Quintana Roo Real Estate  to see other  Commercial For Sale in Solidaridad / Riviera Maya.

Large Photo