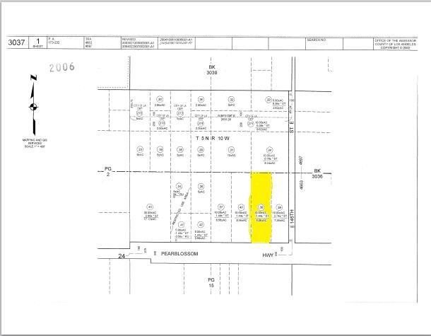
Land For Sale: USA California Pearblossom Pearblossom Hwy & Vic 146th E APN 3037-001-038
SWIPE FOR MORE IMAGES

$69,500 USD

Pearblossom Hwy & Vic 146th E APN 3037-001-038
Pearblossom, California 93553
USA
Land for sale, Other Land
Sale price per sqm: 0
Kirk Swirczynski
CENTURY 21 Doug Anderson
1727 W Avenue K #102,
Lancaster, 93534, United States
Phone: 6618102165

Yes, I would like more information from C21. Please use and/or share my information with a C21 Agent to contact me about my real estate needs.

By clicking Contact Agent, I agree a C21 Agent may contact me by phone or text message including by automated means about real estate services, and that I can access real estate services without providing my phone number. I acknowledge that I have read and agree to the Terms of Use and Privacy Policy.

Remarks:

8.56 acre lot with 328 feet of paved frontage on Pearblossom Hwy. Zoned A25 for commercial agriculture where you can sell directly from your lot. Possibly good for an orchard, vineyards, livestock, or a garden center. APN 3037-001-038.

Location:

Pearblossom Hwy & Vic 146th E APN 3037-001-038, Pearblossom, California 93553, USA
Listed By CENTURY 21 Doug Anderson

The Land for sale, Other Land located at Pearblossom Hwy & Vic 146th E APN 3037-001-038, Pearblossom, California 93553, USA is currently for sale. Pearblossom Hwy & Vic 146th E APN 3037-001-038, Pearblossom, California 93553, USA is listed for $69,500 USD. If the property located at Pearblossom Hwy & Vic 146th E APN 3037-001-038, Pearblossom, California 93553, USA isn't what you're looking for, search California Real Estate to see other Land For Sale in Pearblossom.

Large Photo