SWIPE FOR MORE IMAGES
$24,900 USD
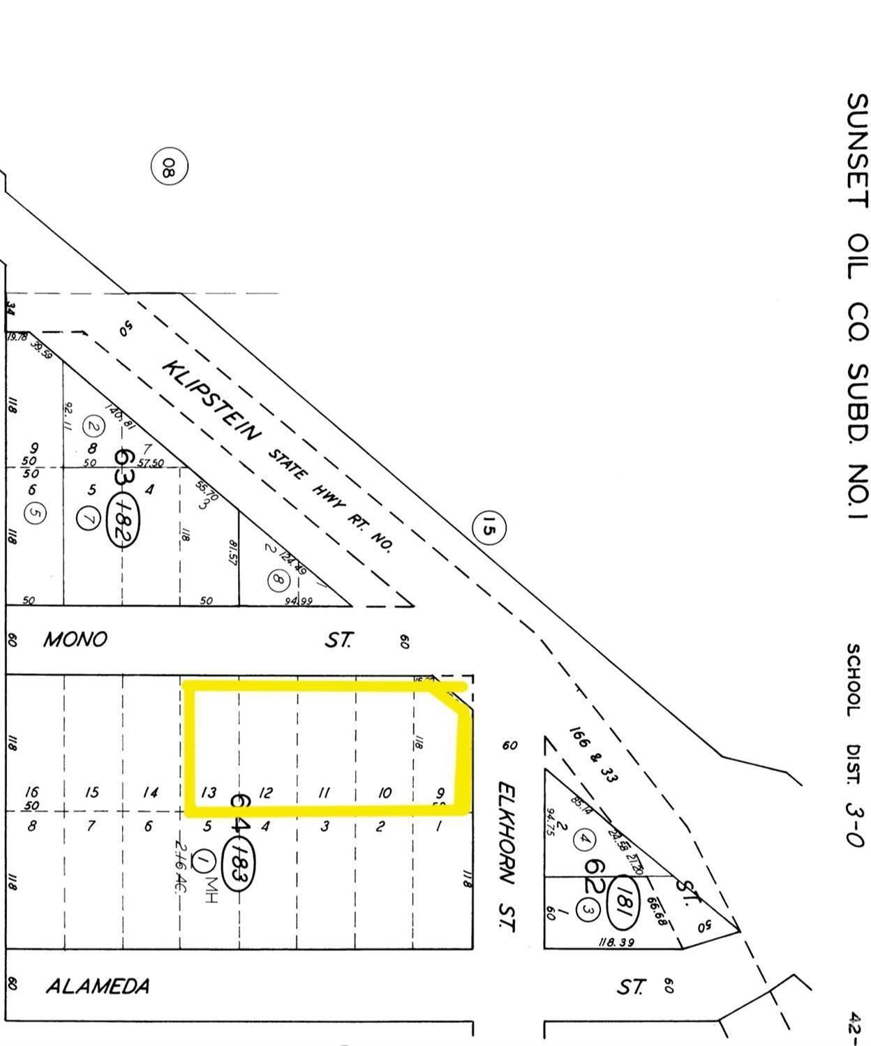
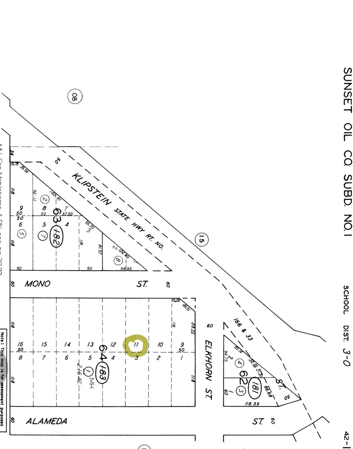
Mono St
Maricopa, California 93252
USA
Maricopa, California 93252
USA
Land for sale, Other Land
Sale price per sqm: 0
Remarks:
Build your vision in Maricopa! Flat, buildable parcel with quick freeway access near the junction of Hwy 166 & 33 your gateway between the Valley and the Coast. Conveniently located minutes from Taft and an easy drive west toward Santa Maria. This area is positioned for major growth with the new Hard Rock Hotel & Casino Tejon opening soon near Hwy 99 & 166 in Mettler, just a short trip away. Perfect for future residential, shop, or investment use with excellent long-term potential. Sellers are offering a generous discount if all five side-by-side lots are purchased together!
Location:
Mono St, Maricopa, California 93252, USA
Listed By CENTURY 21 Jordan Link & Company
The Land for sale, Other Land located at Mono St, Maricopa, California 93252, USA is currently for sale. Mono St, Maricopa, California 93252, USA is listed for $24,900 USD. If the property located at Mono St, Maricopa, California 93252, USA isn't what you're looking for, search California Real Estate to see other Land For Sale in Maricopa.
