SWIPE FOR MORE IMAGES
$63,000 USD
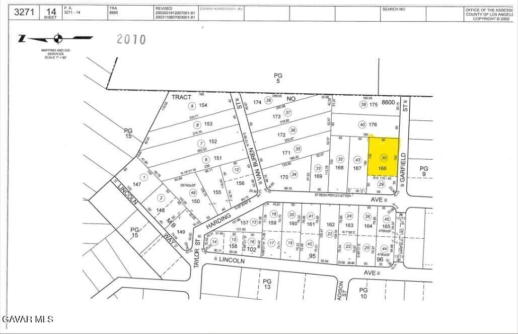
Garfield Street APN 3271-014-030
Val Verde, California 91384
USA
Val Verde, California 91384
USA
Land for sale, Other Land
Sale price per sqm: 0
Remarks:
7948 Sq Ft residential lot in Val Verde, just minutes from Santa Clarita. The lot is located on Garfield St, east just behind the corner house at 28704 Harding Ave. Water and power are available, and the lot has been surveyed. APN 3271-014-030.
Location:
Garfield Street APN 3271-014-030, Val Verde, California 91384, USA
Listed By CENTURY 21 Doug Anderson
The Land for sale, Other Land located at Garfield Street APN 3271-014-030, Val Verde, California 91384, USA is currently for sale. Garfield Street APN 3271-014-030, Val Verde, California 91384, USA is listed for $63,000 USD. If the property located at Garfield Street APN 3271-014-030, Val Verde, California 91384, USA isn't what you're looking for, search California Real Estate to see other Land For Sale in Val Verde.
