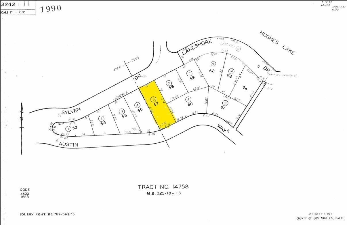
Land For Sale: USA California Lake Hughes Austin Way / Sylvan Dr APN 3242-011-005
SWIPE FOR MORE IMAGES

$12,000 USD

Austin Way / Sylvan Dr APN 3242-011-005
Lake Hughes, California 93532
USA
Land for sale, Other Land
Sale price per sqm: 0
Kirk Swirczynski
CENTURY 21 Doug Anderson
1727 W Avenue K #102,
Lancaster, 93534, United States
Phone: 6618102165

Yes, I would like more information from C21. Please use and/or share my information with a C21 Agent to contact me about my real estate needs.

By clicking Contact Agent, I agree a C21 Agent may contact me by phone or text message including by automated means about real estate services, and that I can access real estate services without providing my phone number. I acknowledge that I have read and agree to the Terms of Use and Privacy Policy.

Remarks:

6599 sq ft residential lot in Lake Hughes. The lot runs street to street from Lakeshore Dr to Austin Way. APN 3242-011-005. Water, power, and sewer available in the area. The lot has approximately 50 feet of paved frontage on both Lakeshore r and Austin Way.

Location:

Austin Way / Sylvan Dr APN 3242-011-005, Lake Hughes, California 93532, USA
Listed By CENTURY 21 Doug Anderson

The Land for sale, Other Land located at Austin Way / Sylvan Dr APN 3242-011-005, Lake Hughes, California 93532, USA is currently for sale. Austin Way / Sylvan Dr APN 3242-011-005, Lake Hughes, California 93532, USA is listed for $12,000 USD. If the property located at Austin Way / Sylvan Dr APN 3242-011-005, Lake Hughes, California 93532, USA isn't what you're looking for, search California Real Estate to see other Land For Sale in Lake Hughes.

Large Photo