SWIPE FOR MORE IMAGES
$210,000 USD
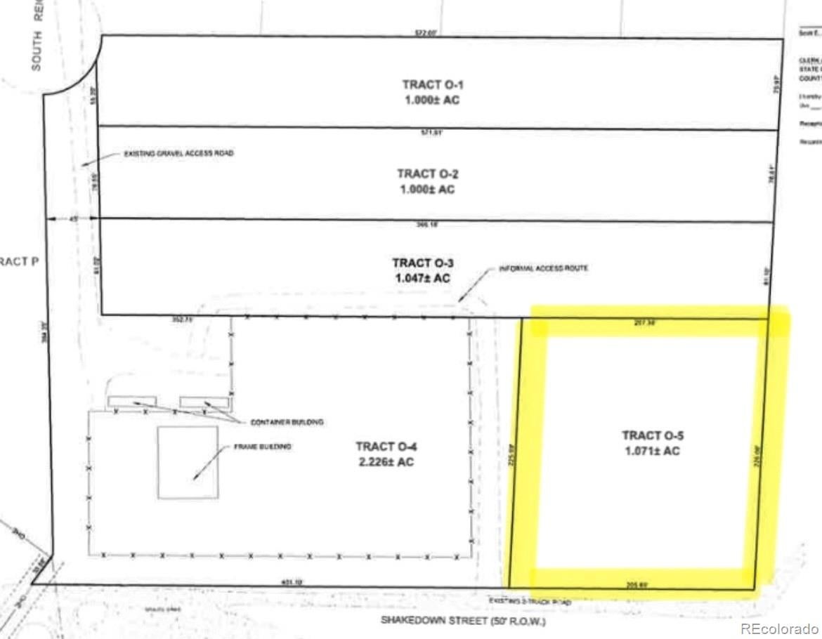
800 S Reigel Court
Moffat, Colorado 81143
USA
Moffat, Colorado 81143
USA
0.433 ha ::
1.07 acres
Land for sale, Other Land
Sale price per sqm: 48.5
Tax: 6,524 USD
Remarks:
Own a piece of Colorado's Area 420, specifically designated for legal commercial cannabis cultivation. This prime land is situated within a commercial cannabis park, perfect for both indoor and outdoor growing, benefiting from abundant sunshine. With no building codes to restrict your plans, access to electricity, and a reliable clean water supply, you'll be part of a thriving community of growers. If you're looking for more than one acre, there are three additional tracts available that link to this one. The plat map is currently preliminary and can be tailored to align with the vision of the first investor before finalizing and recording the lots. This offers a unique opportunity to customize your investment to suit your specific needs and goals.
Features:
- Year Built: 0
Location:
800 S Reigel Court, Moffat, Colorado 81143, USA
Listed By CENTURY 21 Community First
The Land for sale, Other Land located at 800 S Reigel Court, Moffat, Colorado 81143, USA is currently for sale. 800 S Reigel Court, Moffat, Colorado 81143, USA is listed for $210,000 USD. If the property located at 800 S Reigel Court, Moffat, Colorado 81143, USA isn't what you're looking for, search Colorado Real Estate to see other Land For Sale in Moffat.
