Land For Sale: Canada Alberta Rural Clearwater County 71037 TOWNSHIP ROAD 39-3
NEWLY LISTED
SWIPE FOR MORE IMAGES

$195,000 CAD

71037 TOWNSHIP ROAD 39-3
Rural Clearwater County, Alberta T0M 0C0
Canada
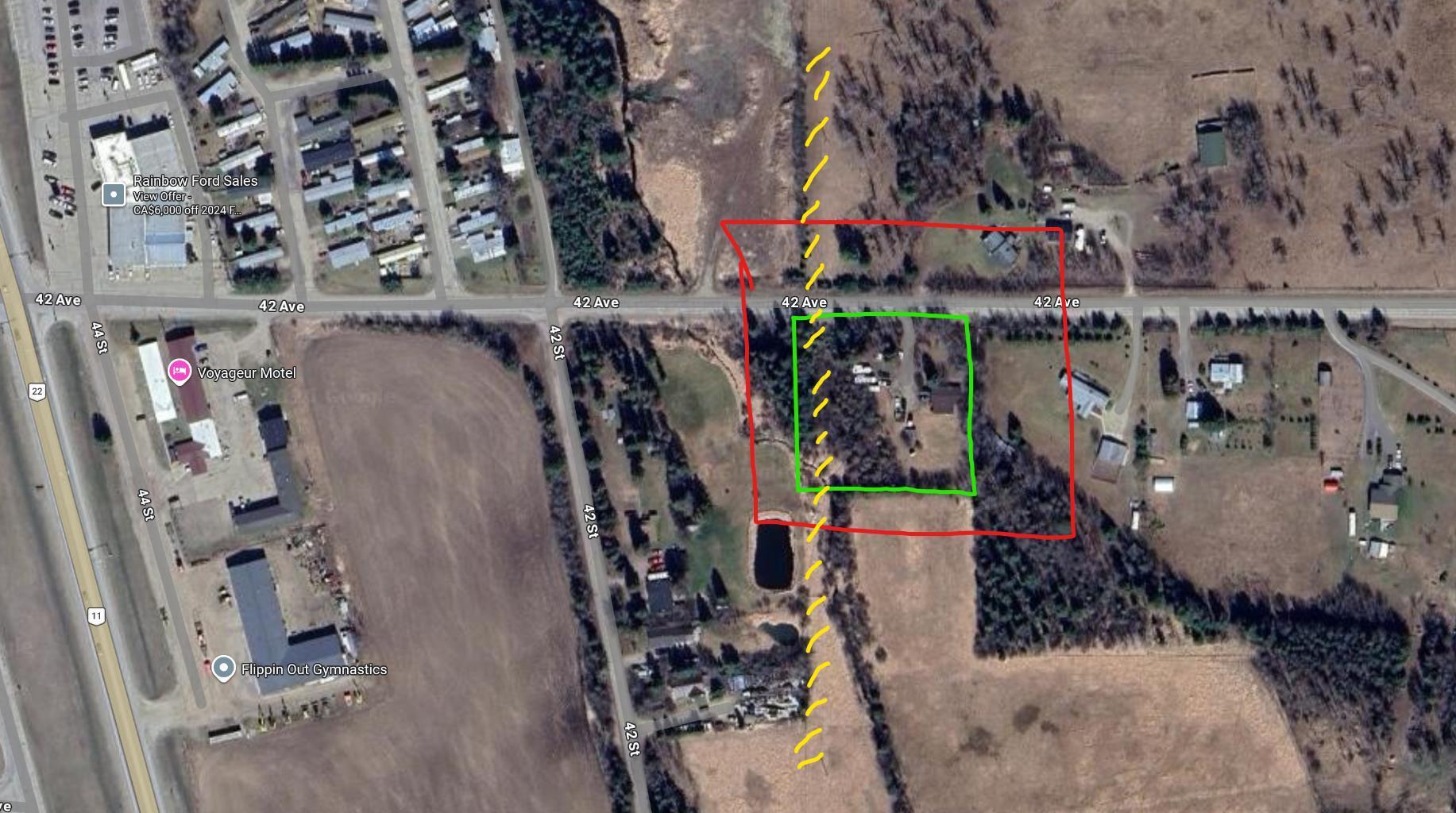
0.607 ha :: 1.50 acres
Land for sale, Vacant Land
Sale price per sqm: 23.21
CENTURY 21 Westcountry Realty Ltd.
4915 50 Street (PO Box 1806)
Rocky Mountain House, Alberta T4T1B4, Canada
Phone: 403-844-0442

Yes, I would like more information from C21. Please use and/or share my information with a C21 Agent to contact me about my real estate needs.

By clicking Contact Agent, I agree a C21 Agent may contact me by phone or text message including by automated means about real estate services, and that I can access real estate services without providing my phone number. I acknowledge that I have read and agree to the Terms of Use and Privacy Policy.

Remarks:

Experience the perfect blend of seclusion and accessibility. Located just one minute east of Rainbow Ford, this beautifully treed 1.5-acre parcel offers the privacy of country living with nearly instant access to town amenities. Fully Serviced: Power, natural gas, septic, and a water well are already on-site and ready for use. Build-Ready: Features a large cleared area and established parking, making it an ideal site for your new home. Flexible Options: The property currently hosts a rental mobile home. A buyer can choose to assume the current tenant for immediate income or request the unit be moved (minimum 3 months' notice required).

Features:

  • Property Features: Fireplace

Location:

71037 TOWNSHIP ROAD 39-3, Rural Clearwater County, Alberta T0M 0C0, Canada
Listed By CENTURY 21 Westcountry Realty Ltd.

The Land for sale, Vacant Land located at 71037 TOWNSHIP ROAD 39-3, Rural Clearwater County, Alberta T0M 0C0, Canada is currently for sale. 71037 TOWNSHIP ROAD 39-3, Rural Clearwater County, Alberta T0M 0C0, Canada is listed for $195,000 CAD. If the property located at 71037 TOWNSHIP ROAD 39-3, Rural Clearwater County, Alberta T0M 0C0, Canada isn't what you're looking for, search Alberta Real Estate to see other Land For Sale in Rural Clearwater County.

Large Photo