SWIPE FOR MORE IMAGES
$15,000 USD
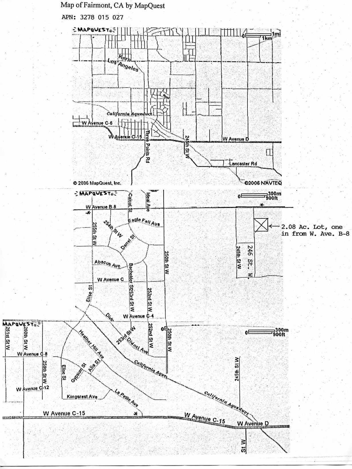
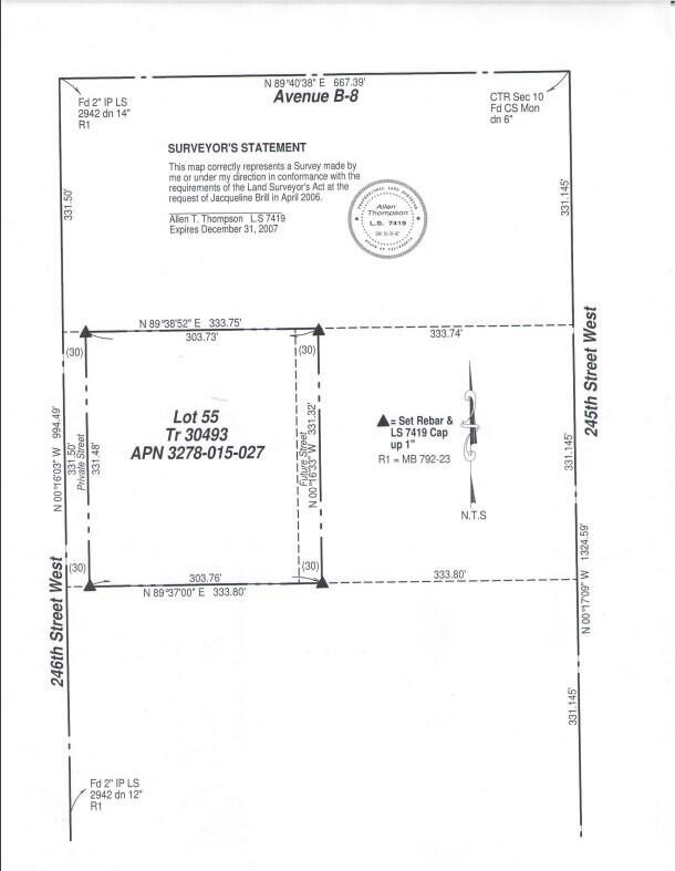
246th St W And Ave B10 APN 3278-015-027
Fairmont, California 93536
USA
Fairmont, California 93536
USA
Land for sale, Other Land
Sale price per sqm: 0
Remarks:
2.56 acre lot in the Fairmont area west of Lancaster and roughly 13.5 miles east of Interstate 5. APN 3278-015-027. Property has had a survey and corners marked. Zoned for agriculture, animals, and a home. Start your ranch. Legal access on the map off of two streets.
Location:
246th St W And Ave B10 APN 3278-015-027, Fairmont, California 93536, USA
Listed By CENTURY 21 Doug Anderson
The Land for sale, Other Land located at 246th St W And Ave B10 APN 3278-015-027, Fairmont, California 93536, USA is currently for sale. 246th St W And Ave B10 APN 3278-015-027, Fairmont, California 93536, USA is listed for $15,000 USD. If the property located at 246th St W And Ave B10 APN 3278-015-027, Fairmont, California 93536, USA isn't what you're looking for, search California Real Estate to see other Land For Sale in Fairmont.
