SWIPE FOR MORE IMAGES
$70,000 USD
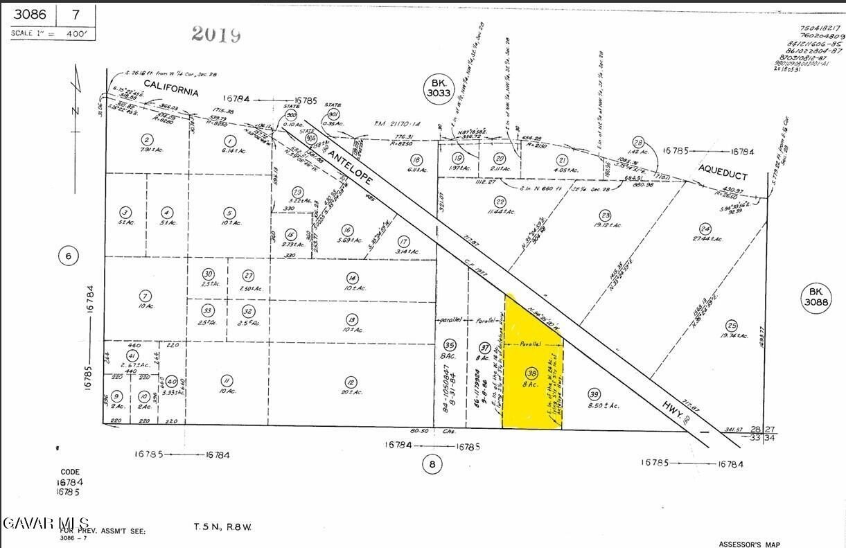
23000 E Antelope Hwy & Vic Ave X APN 3086-007-038
Llano, California 93544
USA
Llano, California 93544
USA
Land for sale, Other Land
Sale price per sqm: 0
Remarks:
8.95 acres with 523 feet of paved frontage on Hwy 138 near 230th St East. Zoned A11 for agriculture, animals, and a home. Great views of the mountains to the south. APN 3086-007-038.
Location:
23000 E Antelope Hwy & Vic Ave X APN 3086-007-038, Llano, California 93544, USA
Listed By CENTURY 21 Doug Anderson
The Land for sale, Other Land located at 23000 E Antelope Hwy & Vic Ave X APN 3086-007-038, Llano, California 93544, USA is currently for sale. 23000 E Antelope Hwy & Vic Ave X APN 3086-007-038, Llano, California 93544, USA is listed for $70,000 USD. If the property located at 23000 E Antelope Hwy & Vic Ave X APN 3086-007-038, Llano, California 93544, USA isn't what you're looking for, search California Real Estate to see other Land For Sale in Llano.
