SWIPE FOR MORE IMAGES
$3,499,000 CAD
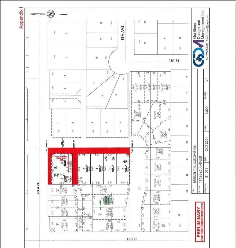
18044 60 AVENUE
Surrey, British Columbia V3S 1V6
Canada
Surrey, British Columbia V3S 1V6
Canada
0.417 ha ::
1.03 acres
Land for sale, Vacant Land
Sale price per sqm: 616.46
Remarks:
Six lot subdivision in the heart of Cloverdale PLA done ready for services agreement. 5 RF lots approximate 6500 sqft and 1 RF 13 approximate 3800 sqft .Build your dream home. Call for serious enquiry. (id:42016)
Location:
18044 60 AVENUE, Surrey, British Columbia V3S 1V6, Canada
Listed By CENTURY 21 Coastal Realty Ltd.
The Land for sale, Vacant Land located at 18044 60 AVENUE, Surrey, British Columbia V3S 1V6, Canada is currently for sale. 18044 60 AVENUE, Surrey, British Columbia V3S 1V6, Canada is listed for $3,499,000 CAD. If the property located at 18044 60 AVENUE, Surrey, British Columbia V3S 1V6, Canada isn't what you're looking for, search British Columbia Real Estate to see other Land For Sale in Surrey.

