SWIPE FOR MORE IMAGES
$137,000 USD
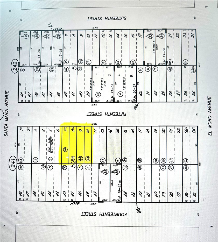
1325 1335 15th Street
Los Osos, California 93402
USA
Los Osos, California 93402
USA
0.117 ha ::
0.29 acres
Land for sale, Vacant Land
Sale price per sqm: 116.74
Remarks:
This is an opportunity to purchase a 12,500 sq. ft. unimproved parcel in the bayside community of Los Osos. This is a bulk sale consisting of four adjoining 25' X 125' lots to be sold together, equaling 100' of street frontage. With distant views of the bay, sand dunes, and surrounding hills from street level, it is sure to be a terrific homesite when building is permitted. You'll be a part of a wonderful community offering a coastal lifestyle along with all the amenities this area has to offer. One of the lots is #211 on the Los Osos Waitlist for Building Permits and lot size says 12,500 sq ft. Check with SLO County Dept of Planning & Building to investigate the potential of building on vacant lots in Los Osos. You'll find some great information at https://www.slocounty.ca.gov/departments/planning-building/grid-items/communities-villages/los-osos
Location:
1325 1335 15th Street, Los Osos, California 93402, USA
Listed By CENTURY 21 Masters
The Land for sale, Vacant Land located at 1325 1335 15th Street, Los Osos, California 93402, USA is currently for sale. 1325 1335 15th Street, Los Osos, California 93402, USA is listed for $137,000 USD. If the property located at 1325 1335 15th Street, Los Osos, California 93402, USA isn't what you're looking for, search California Real Estate to see other Land For Sale in Los Osos.
