NEWLY LISTED
SWIPE FOR MORE IMAGES
$8,000 USD
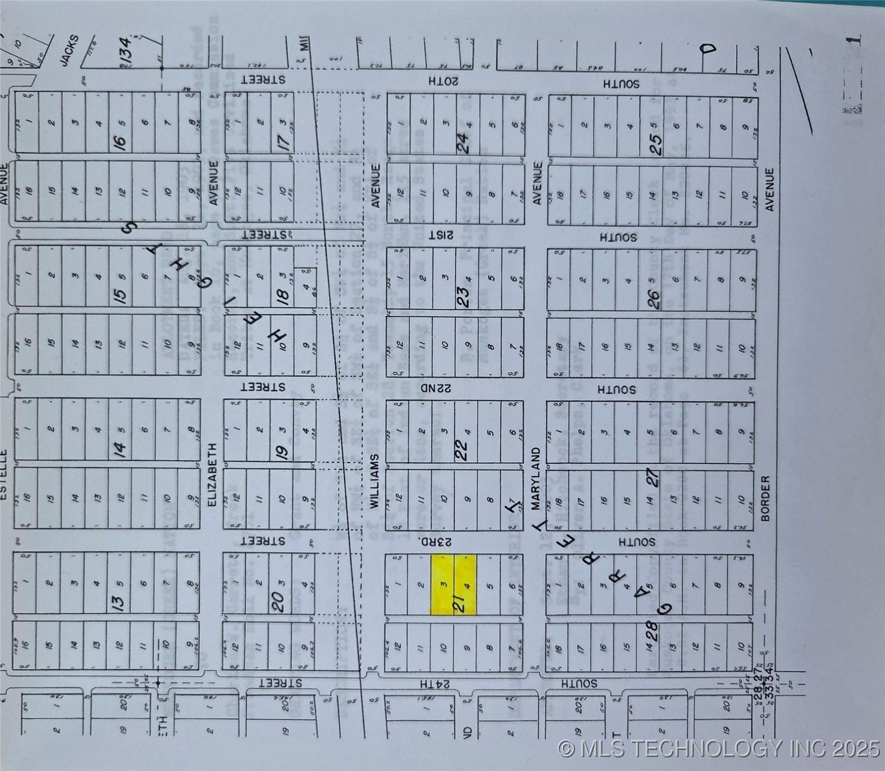
1109 S 23rd Street
Muskogee, Oklahoma 74401
USA
Muskogee, Oklahoma 74401
USA
Residential For Sale, Single Family Acreage
Sale price per sqm: 0
Tax: 6 USD
Remarks:
Looking for the perfect residential lots to build your dream home in Muskogee? Look no further! These prime lots at 1109 S 23rd St are ready for development. A survey has been completed, and the abstract is up to date. Nestled on a quiet street, these spacious lots feature a few mature trees while remaining mostly clear for easy construction. Plus, city utilities are readily available. Don't miss this great opportunity!
Location:
1109 S 23rd Street, Muskogee, Oklahoma 74401, USA
Listed By CENTURY 21 First Choice Realty
The Residential For Sale, Single Family Acreage located at 1109 S 23rd Street, Muskogee, Oklahoma 74401, USA is currently for sale. 1109 S 23rd Street, Muskogee, Oklahoma 74401, USA is listed for $8,000 USD. If the property located at 1109 S 23rd Street, Muskogee, Oklahoma 74401, USA isn't what you're looking for, search Oklahoma Real Estate to see other Homes For Sale in Muskogee.
